BREAKING NEWS: A massive Category 5 hurricane named Melissa is developing. See more

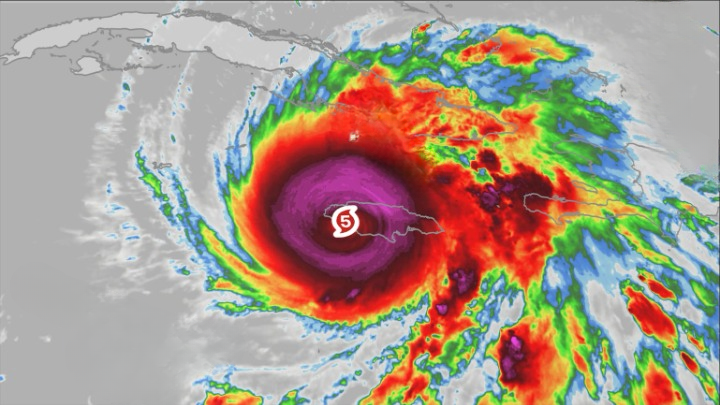
Hurricane Melissa has made history as one of the most powerful and destructive storms ever recorded. Now officially a Category 5 hurricane, Melissa became the strongest storm to ever hit Jamaica directly and ranks among the fiercest in Atlantic history. Its intensity, massive scale, and record-breaking statistics have left meteorologists and disaster experts stunned.
When Melissa made landfall, its sustained winds hit 185 miles per hour, matching the record for the strongest hurricane ever to strike land in the Atlantic. Only a few storms in history have reached such strength. Its central pressure dropped to 892 millibars, tying the 1935 Labor Day Hurricane—once considered the most intense hurricane ever recorded in the Atlantic.
As Hurricane Hunter planes flew into its core, they captured extraordinary data. Instruments measured a wind gust of 252 miles per hour just above the ocean’s surface—just one mile per hour short of the world record, set by Cyclone Olivia in 1996. These figures not only highlight Melissa’s almost unimaginable power but also raise concerns about how rapidly intensifying storms are evolving in a warming world.
Jamaica faced catastrophic damage. Though the island has weathered major hurricanes before, none have compared to Melissa’s onslaught. The eye crossed near Montego Bay, tearing apart homes, flattening communities, and knocking out infrastructure. Early reports describe widespread destruction across several parishes, with entire power grids down, roads blocked, and towns underwater. Coastal areas were hit especially hard, as storm surges over 20 feet swallowed fishing villages and ports.
Meteorologists were struck by how rapidly the storm intensified—from Category 2 to Category 5 in less than a day. That kind of explosive growth, while increasingly common, still shocked experts. Warm sea temperatures, minimal wind shear, and high moisture levels created perfect conditions for the storm’s violent expansion. By the time it peaked, satellite images showed a flawless, circular eye surrounded by symmetrical cloud bands—a signature of only the most extreme hurricanes.
At full strength, hurricane-force winds stretched 70 miles from the center, with tropical-storm conditions extending several hundred miles beyond that. When it hit Jamaica, Melissa had become an enormous, tightly wound system capable of causing devastation well beyond its core.
Experts have compared Melissa to legendary storms like Hurricane Dorian (2019), Hurricane Gilbert (1988), and the 1935 Labor Day Hurricane. Even among these giants, Melissa stands out. It didn’t skirt Jamaica—it hit it squarely with record-setting intensity. Hurricane Hunter crews described their flights as “unlike anything we’ve ever experienced,” with turbulence and wind shear so extreme that onboard sensors maxed out multiple times. Melissa had reached near the upper limits of what Earth’s atmosphere can produce.
Scientists say the storm’s formation underscores a troubling trend. The waters where Melissa developed have been running warmer than average for years, fueling stronger and faster-growing hurricanes. Many experts have warned that rising ocean temperatures would produce exactly this kind of monster storm—and Melissa has proven them right in devastating fashion.
As the storm barreled toward the Caribbean, countries across the region rushed to prepare. Despite early alerts, Melissa’s rapid intensification left little time for full evacuation. Shelters overflowed, airports closed, and ships sought safety offshore. In Kingston, high-rise windows shattered under the force of the wind, and in the mountains, landslides isolated entire communities. Waves offshore towered more than 50 feet.
Even after moving northwest toward the Bahamas, Melissa’s remnants continue to disrupt weather systems and marine traffic. Forecasters warn that even as it weakens, the storm will likely maintain hurricane-force winds and heavy rainfall across parts of the Atlantic.
Comparisons with past hurricanes help illustrate just how rare Melissa’s strength was. The 1935 Labor Day Hurricane killed over 400 people in the Florida Keys. Hurricane Gilbert hit Jamaica with 185 mph winds but had a higher pressure. Hurricane Dorian devastated the Bahamas with similar wind speeds but weaker gusts. Melissa’s 252 mph reading is unmatched in the Atlantic’s recorded history, placing it in a league of its own.
Rescue operations in Jamaica are ongoing, but recovery will take time. Flooding and power outages have left many areas unreachable. The government has declared a national emergency, and international aid is being mobilized to provide food, water, and shelter. Tens of thousands have been displaced, and early damage estimates already reach into the billions. The human cost is still being assessed.
For scientists, Hurricane Melissa represents both a humanitarian disaster and a scientific turning point. Its extraordinary power, rapid intensification, and record-breaking data will be studied for years. Some experts suggest it could lead to new ways of categorizing and forecasting tropical cyclones in an era of changing climate patterns.
Melissa’s name will almost certainly be retired from future hurricane lists, reserved only for storms so deadly and destructive that they can never be used again. For Jamaica and the wider Atlantic region, it will stand as a grim reminder of nature’s sheer force.
As one meteorologist put it, “Melissa wasn’t just another hurricane. It was a milestone—the kind of storm that changes how we understand what’s possible.”



